Last week in June we went sailing again. Although most of the June was very warm and summery, last two days before start of our vacation we had couple of storms and it got quite cold, from previous 30 deg C down to 11. We knew it would get warmer again, but weather forecast wasn't very optimistic, weather was to stay unstable, windy and even rainy for next couple of days.
We started in Klimno on island Krk on Sunday morning, and sailed under the bridge around North side of the island to island Cres. Day was sunny with a fresh breeze, but we hoped it will get warm enough to jump into the water. We checked couple of small bays on North side of Cres for an anchorage, but the water there is very deep almost right to the coast and it wasn't easy to find a spot to throw the hook. It was in bay Smardeca and even there it took some effort to not put Heron on the rocks.
Some of us bravely went into the water...
... although it was rather refreshing. I wasn't sure wether it was because of fresh water springs in the bay or because of the past storms. But it was way too cold for snorkelling.
After swim and a snack we sailed off. With wind forecast to be from NW and/or NE we had to find more protected bay for the night. We sailed over to mainland and spent the night in bay Prklog. With beautiful green water and pine trees almost to the waters edge it looked more like a mountain lake than sea.
Next day, after some swimming and boat projects we sailed back to Cres. On the way we saw a pod of dolphins, but they didn't come close enough for a decent photo. They put on a great show though with splashing and jumping.
Next we stopped in bay Draga Nedomišje South of town Cres. When we came, there were several motor boats and two sailboats there and we med-moored - threw the anchor in the middle of bay on 15m depth and reverse to the shore and tied the boat to the bollard on the shore. Then we swam in beautiful blue-green water and had a good dinner. In the evening all other boats left and we were alone. It was understandable, since the weather was suppose to get worse. And the strong wind already came in the night, waking captain and me up. Wind was very strong and changing direction, so we decided to untie the rope and let the boat swing with the wind. It was good that nobody else was there since wind pushed us from one shore to the other and we took up the entire bay. Captain even held anchor watch in the early morning, he didn't like how close to the shore wind pushed us. But it all went well. Just the day was a bit gloomy.
Sun came out in the middle of the day and the summer feeling was immediately back. Water was still rather cold, but I couldn't resist to test my new camera, the cheap version of GoPro with a small display and water resistant to 30m. This was shot before I took time to go through the settings and set the date. And then decided it was not needed. Bay was very deep and quite empty, not very suitable for snorkelling, one of the only interesting things were these branches of a tree with oysters growing on them.
In the night another storm came, with lots of rain and wind this time. But we knew our anchor was holding well and we had just right amount of chain in to not get too close to the rocks and the shore, so we were not nervous and slept well.
Next day was sunny and still very windy. After breakfast and a short swim we set sails again, two nights in the same bay, even as pretty as this one, was enough.
We sailed across the big bay to small village of Valun. We heard it was pretty and we would probably stop there if there was a good place to anchor and if the wind wasn't blowing directly towards it.
So we continue to sail South. With lots of NE wind and little waves it was a fast and smooth sail.
We made a stop at the beach beneath the famous village of Lubenice (translated it would be Watermelons - don't know why it got this name). It is sitting way up on the hill and we decided it was too far to climb up. And we were not happy with the anchorage, bay was again deep and small and we would not be comfortable to leave the boat there.
We didn't even want to go swimming, so we moved to the next bay to the South. Anchoring was better, we were more protected from wind and the bay looked really pretty.
There were some small caves and captain and myself went to explore them a little. In neoprene again. I took my trusted Olympus TG2 and photographed him...
... and he took the new camera and photographed me.
Unfortunately we didn't know we should swim deeper into the cave and gave up too early and miss the most interesting part. But even so what we saw was nice.
Under an overhang I discovered these Yellow cluster anemone (Rumeni zoantar po slovensko), it was the first time I found them in Adriatic.
Sepia (sipa)
We sailed further South to the bay Uvala Vela Slatina. The rest of the crew dinghied ashore after the dinner and walked to the town of Martinščica, that was just over a small hill. I stayed on Heron, went swimming and watched the sunset.
In the morning boys brought fresh bread and some more groceries. It was a treat to have fresh bread for breakfast after living in "wilderness" for so long.
After breakfast we sailed on to bay Luka Ustrine. We spent the day there, swimming, doing boat project, reading. It got warmer, although wind was still quite fresh. And the water also.
I had to go snorkelling again. Bottom was sandy so I didn't expect much. But I still discover some nice things, like this Crater sponge (spužvo Rjavo skorjevko).
This is Ear shell (Petrovo uho).
And this a Tompot blenny (Velika babica).
In the evening we moved to a small bay near the town of Osor. Bay was really small, we had to drop the anchor in the middle and then tie Heron to both shores to be able to stay for the night.
We then dinghied ashore to meet a friend there that was going to join us for the last couple of days.
Osor is a nice small town with plenty of historical buildings and we walked through the narrow streets for a while.
In the cemetery we met this pretty kitty, that told us she is thirsty - by looking longingly towards water tap. I opened up the water tap, she jumped up and drank for minutes.
This is the swinging bridge between islands Cres and Lošinj. They open it twice a day so the sailboats and bigger motor boats can pass through the channel.
As we did the next morning.
We sailed on to Olib. There was plenty of wind, and also some waves, but sailing was very fast. We reached Olib shortly after noon. It was sunny but not as calm as I would have wished. That didn't stop me from going snorkelling, I knew from last year it is a great snorkelling spot. (You can check last years snorkelling photos from Olib here ).
Almost beneath the boat I found this Tunicate (Rožnatega plaščarja).
We were anchored almost at the same spot as last summer, and I went to search for the octopus castle. I was very sorry to see it was destroyed, shells were still laying there...
... and the tire was also laying a bit further, but there was no octopus. Hope it got away and wasn't eaten.
A Red tube worm (Pisani pokrovčar).
This is my newest discovery - a Black-faced Blenny (Rumeni sprehajalček). There were two of them and they were not camera shy at all.
But this Blenny (Črnoboka babica) literally followed me and placed herself near my camera. Maybe she was trying to ask me to remove the annoying little parasites (Ribje uši - translation would be Fish Lise), that were attached to her. (If you enlarge the photo you can see how interesting the eyes of a louse are)
This is one of the prettiest Tunicates that I saw. It is called Red Seasquirt (Rdeči kozolnjak ali tudi Morska breskev), one of Slovene names is Sea peach, which I find more suitable. Although it was beneath the rock, it looked like it was glowing. And look at the small hair around the openings, it's like a moustache.
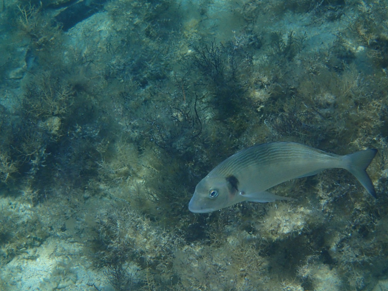
This is a Sea Bream (Orada).
I couldn't resist posting a photo of an octopus, I saw several more.
So next morning we woke near "our" island again. Anchorage was well protected so guys finished another boat project - replacing the non-working steaming/deck light and the cable. It of course required climbing up the mast.
It took a bit longer than planned, so we didn't left the anchorage before early afternoon. This is us:
Mojca, Mirjana and captain,...
...Mare
... and me.
New camera is very suitable for selfies.
We sailed until wind died and managed to get as far as town of Lopar on North part of Rab. We anchored in a shallow bay and our thermometer claimed water had 26 deg C. Of course we had to try it ourselves. And maybe the temperature was that high on the surface, but only a couple of inches down it was much colder. Not to mention 3m down. So I didn't snorkel for long. The bottom was rather empty anyway except for some Fan mussels (Leščurjev).
After dinner we decided to move on to Vela luka on Krk. We spent the night there.
Morning was cloudy...
...but after a while sun was shining again and it got warm. After breakfast and swimming we sailed on to Luka Srščica. We had the nicest welcoming committee of all - a pod of dolphins were playing around and I was sorry it took me so long to get my camera, by then they already moved further away.
Couldn't resist to go snorkelling one last time. The visibility was bad and there wasn't much to see, only some of the rocks were quite interesting.
In the late afternoon after a lunch we left Luka Srščica.
Once in Klimno, we tidied the boat, had a nice dinner in restaurant Oleander and then drove home.





















































